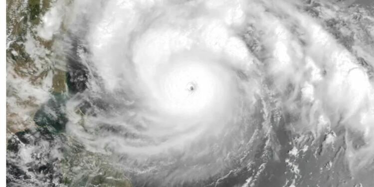
The Indian Meteorological Department (IMD) has issued a warning about a developing cyclonic storm (Weather cyclone mocha) over the Bay of Bengal. According to the IMD, the storm is expected to intensify into a severe cyclonic storm over the next 24 hours and is likely to make landfall over the coast of Odisha and West Bengal on May 9.
The storm, named Weather Cyclone Mocha, is currently located around 1,100 km south-southeast of Paradip in Odisha and is moving towards the northwest direction. The IMD has issued Cyclone Mocha warnings to the coastal regions of Odisha, West Bengal, and Andhra Pradesh, urging them to take precautionary measures.
The IMD has predicted heavy rainfall in many parts of the eastern and northeastern regions of the country, including Odisha, West Bengal, Jharkhand, and Bihar. The rainfall is likely to continue till May 11, leading to the possibility of floods in some areas.
The IMD has also warned of strong winds, reaching up to 90-100 kmph, and rough seas with waves reaching up to 12-15 feet in the Bay of Bengal. Fishermen have been advised not to venture into the sea, and those who are already at sea have been asked to return to the shore.
The National Disaster Response Force (NDRF) has deployed 10 teams in Odisha and nine in West Bengal, in preparation for the cyclonic storm. The teams are equipped with boats, tree-cutters, and communication equipment to deal with any eventualities.
The authorities in Odisha and West Bengal have also set up control rooms and issued advisories to the public, urging them to stay indoors and avoid any non-essential travel during the cyclonic storm.
The IMD has advised everyone to stay updated with the latest weather forecasts and follow the instructions of the local authorities to stay safe during this cyclonic storm.
Also Read: Why Odisha CM Naveen Patnaik is undisputed politician in regional politics for long-drawn































